Ураган наивысшей категории “Дориан“ ударил по Багамским островам
AFP
Вечером понедельника или в ночь на вторник по местному времени ураган может достигнуть побережья американского штата Флорида.
Жители Багамских островов эвакуируются из прибрежных районов, где ожидается затопление из-за нагонных волн высотой до 4,6 метров.
Багамские власти закрыли авиасообщение с некоторыми из дальних островов, хотя главный международный аэропорт страны остается открытым.
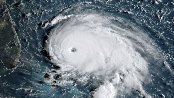
Шторм продвигается в западном направлении со скоростью 13 км в час, а скорость ветра на его периферии составляет 260 км в час.

На острове Абако закрылись яхтенные причалы в ожидании прихода шторма. Правообладатель иллюстрации: REUTERS
Пройдя через Багамы, ураган, вероятно, направится в сторону Флориды и достигнет ее восточного побережья вечером в понедельник или в ночь на вторник.
Высокая скорость ветра делает "Дориан" самым опасным штормом за последнее время. Метеорологи предупреждают, что он может оказаться самым сильным с тех пор, как в 1992 году ураган "Эндрю" привел к гибели 65 человек и разрушил 63 тысяч домов.
Президент США Дональд Трамп сообщил, что внимательно следит за продвижением шторма. Он отменил свой запланированный визит в Польшу, направив туда вместо себя вице-президента Майка Пенса.
Ураганы подразделяются на категории с первой (самой слабой) по пятую (самую мощную) по шкале Саффира-Симпсона. Они обычно набирают силу по достижении более теплых вод, как у побережья Флориды.
Ураганы пятой категории, с устойчивой скоростью ветра более 252 км в час, достаточно редки, но в последние три года происходили с аномальной частотой: ураганы "Майкл", "Мария", "Ирма" и "Мэтью" относились к этой категории.
"Дориан" также увеличился в размерах: ветры ураганной силы фиксируются даже в 75 км от центра шторма.
Багамы готовятся к удару стихии
Премьер-министр Багамских островов Хуберт Миннис отдал приказ об эвакуации отдельных районов островов Гранд-Багама и Абако в северной части архипелага. Всех туристов попросили покинуть эти острова.
На пресс-конференции Миннис обратился к жителям островов с призывом перебраться на главный остров.
"Я хочу, чтобы все помнили, что дома и другие строения можно заменить новыми, но человеческую жизнь ничем заменить нельзя", - заявил он, добавив, что под угрозой находятся 73 тысячи человек и 21 тысяча домов.

В городе Делтона в штате Флорида жители пытаются защититься от наводнения с помощью мешков с песком. Правообладатель иллюстрации: AFP
В штате Флорида губернатор Рон ДеСантис объявил чрезвычайное положение на всей территории штата и мобилизовал войска Национальной гвардии в количестве 2,5 тысяч человек.
Потребители в штате выстраиваются в очереди у магазинов, закупая лекарства и горючее.
В Майами власти распорядились убрать с улиц электрические самокаты, которые ураган легко поднимет в воздух.
Заметили ошибку? Пожалуйста, выделите её и нажмите Ctrl+Enter

